Lông mèo mượt mà luôn là dấu hiệu sức khỏe tốt, nhưng khi bạn thấy những mảng lông thưa thớt hoặc trống trơn trên cơ thể bé, đó có thể là dấu hiệu mèo đang gặp vấn đề về da. Nguyên nhân có thể đến từ nấm da, ký sinh trùng như ve hoặc rận, dị ứng, căng thẳng, hoặc rối loạn nội tiết.
Ở bài viết dưới đây Petchoice sẽ giúp bạn nhận biết sớm các triệu chứng hói lông ở mèo và hướng dẫn những cách chăm sóc, điều trị hiệu quả để bé luôn khỏe mạnh và lông óng mượt.
Dấu hiệu nhận biết mèo bị hói lông theo từng vị trí
1. Mèo bị hói lông trên mắt (Preauricular Alopecia)
Vùng lông thưa dần từ mắt đến tai ở một số mèo là hiện tượng sinh lý bình thường, không gây đau hay ngứa. Đây là cách tự nhiên giúp tai mèo nghe rõ hơn, tăng cường khả năng phát hiện âm thanh từ môi trường xung quanh. Tuy nhiên, nếu thấy da đỏ, đóng vảy hoặc mèo gãi nhiều, cần theo dõi để loại trừ nguyên nhân bệnh lý như nấm da, ký sinh trùng hoặc dị ứng.

2. Mèo bị hói lông ở tai
Hói lông ở tai có thể xuất hiện do hiện tượng tự nhiên, đặc biệt ở mèo già hoặc mèo có lớp lông mỏng. Tuy vậy nếu hói kèm ngứa dữ dội, vảy, mùi hôi hoặc ráy tai bất thường, đây thường là dấu hiệu của viêm da, nhiễm nấm Microsporum canis hoặc ký sinh trùng rận tai (Otodectes cynotis). SEN cần phân biệt giữa hói tự nhiên và hói do bệnh lý, bằng cách kiểm tra tai, vệ sinh sạch sẽ và đưa mèo đến bác sĩ thú y khi cần thiết.
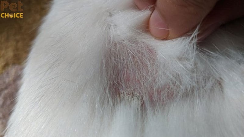
3. Mèo bị hói đầu
Các mảng hói tập trung ở đỉnh đầu hoặc sau gáy thường liên quan đến nấm da, ghẻ hoặc bọ chét, đặc biệt nếu da có vảy, mụn nước hoặc mèo liếm/gãi liên tục. Trong trường hợp hói tập trung kèm viêm hoặc chảy dịch, việc đưa mèo đi khám thú y là cần thiết để chẩn đoán chính xác và áp dụng phác đồ điều trị phù hợp.
4. Dấu hiệu đi kèm cần lưu ý
Bất kỳ vị trí hói nào cũng cần chú ý đến các dấu hiệu bệnh lý đi kèm:
- Da đỏ, đóng vảy hoặc bong tróc
- Xuất hiện mụn nước, vết xước hoặc chảy dịch
- Mèo gãi, liếm hoặc cào liên tục, gây tổn thương da
Những dấu hiệu này cho thấy mèo đang bị viêm da, ký sinh trùng hoặc dị ứng, và cần xử lý kịp thời để tránh lan rộng và ảnh hưởng sức khỏe.

Nguyên nhân khiến mèo bị hói lông phổ biến nhất
1. Di truyền và sinh lý
Một số giống mèo có vùng lông mỏng tự nhiên hoặc đặc điểm sinh lý khiến lông thưa dần theo các vùng nhất định, thường là vùng giữa mắt và tai, đỉnh đầu hoặc sau gáy. Đây là hiện tượng bình thường, không gây đau đớn hay ảnh hưởng sức khỏe.
Ngoài ra, tuổi tác và quá trình lão hóa cũng là nguyên nhân khiến lông mèo trở nên yếu, dễ rụng và mất đi độ bóng mượt tự nhiên. SEN nên chú ý phân biệt giữa hói sinh lý và hói do bệnh lý để tránh lo lắng không cần thiết.
2. Dị ứng
Mèo có thể bị hói lông do dị ứng thức ăn, môi trường hoặc các vết cắn của bọ chét. Khi bị dị ứng, da mèo sẽ đỏ, ngứa và xuất hiện vảy hoặc mụn nhỏ, mèo thường liếm hoặc gãi liên tục, khiến lông rụng thành mảng. Các tác nhân dị ứng phổ biến bao gồm:
- Thức ăn: Một số protein hoặc phụ gia trong thức ăn có thể gây phản ứng da.
- Môi trường: Phấn hoa, bụi nhà, nấm mốc hoặc các hóa chất tẩy rửa.
- Ký sinh trùng: Bọ chét, ve hoặc ghẻ nhỏ có thể kích thích phản ứng dị ứng tại da.
Dị ứng nếu không được kiểm soát kịp thời không chỉ khiến lông rụng mà còn có thể dẫn đến viêm da thứ phát, làm tình trạng hói lông nặng hơn.

3. Nấm da (Ringworm)
Nấm da, đặc biệt là Microsporum canis, là nguyên nhân hàng đầu khiến mèo xuất hiện các vết hói tròn, rõ ràng trên da, thường ở đầu, cổ, tai hoặc chân. Biểu hiện đi kèm bao gồm:
- Da có vảy mỏng, đôi khi hơi mùi.
- Mèo gãi hoặc liếm liên tục tại vùng bị nhiễm.
- Lông rụng tạo thành mảng tròn, ranh giới rõ rệt.
Nấm da là bệnh có thể lây sang người, nên việc xử lý cần ngay lập tức, bao gồm đưa mèo đến thú y, tắm với sữa tắm chống nấm, vệ sinh nơi ở và khử trùng dụng cụ chăm sóc.
4. Viêm da do ký sinh trùng
Các ký sinh trùng như rận, ve, ghẻ tai thường gây viêm da, ngứa và rụng lông theo mảng. Mèo bị ký sinh trùng thường:
- Cào hoặc liếm quá mức, dẫn đến tổn thương da và hói lông.
- Tai có ráy đen, mùi hôi hoặc có mùi tanh khó chịu.
- Các mảng hói có thể lan rộng nhanh chóng nếu không điều trị.
SEN nên kiểm tra định kỳ, vệ sinh tai, dùng thuốc trị ký sinh trùng theo hướng dẫn thú y và giữ môi trường sống sạch sẽ để ngăn ngừa tình trạng này.

5. Rối loạn nội tiết hoặc stress
Mèo có thể rụng lông do mất cân bằng nội tiết hoặc tuyến giáp hoạt động quá mức, gây thay đổi chu kỳ mọc lông và hói tập trung. Một nguyên nhân khác thường gặp là stress hoặc lo âu, khiến mèo tự liếm lông quá mức, hình thành các mảng hói rõ rệt (psychogenic alopecia). Các dấu hiệu đi kèm thường là:
- Mèo liếm hoặc gãi không ngừng, đặc biệt ở bụng, hông hoặc chân trước.
- Da có thể đỏ, mỏng và nhạy cảm hơn bình thường.
- Rụng lông lan rộng nhanh nếu căng thẳng kéo dài, đôi khi xuất hiện cả mụn nước hoặc vảy.
Việc giảm stress cho mèo, tạo môi trường sống yên tĩnh và ổn định, kết hợp với kiểm tra sức khỏe định kỳ, là cách quan trọng để hạn chế rụng lông do tâm lý hoặc nội tiết.
Cách xử lý khi phát hiện mèo bị hói lông
1. Vệ sinh tại chỗ
Khi phát hiện mèo có mảng hói lông, việc vệ sinh vùng da bị ảnh hưởng là bước đầu tiên cần thực hiện. Nếu da mèo có vết trầy xước, mẩn đỏ hoặc tổn thương, bạn nên dùng nước muối sinh lý hoặc dung dịch sát khuẩn dịu nhẹ để làm sạch. Ngoài ra, với các trường hợp nghi ngờ nấm da hoặc ký sinh trùng, việc vệ sinh tai và các vùng lông xung quanh cũng rất quan trọng.
Một sản phẩm hiệu quả và an toàn cho thú cưng là dung dịch vệ sinh tai Ear Cleaner. Sản phẩm này giúp loại bỏ bụi bẩn, ráy tai, hạn chế môi trường thuận lợi cho rận tai và nấm phát triển, đồng thời giảm ngứa cho mèo.
Việc vệ sinh cần được thực hiện nhẹ nhàng, tránh chà xát mạnh làm tổn thương da, và không dùng các dung dịch sát khuẩn mạnh có thể gây kích ứng.

2. Cách ly mèo bị hói
Nếu nghi ngờ nguyên nhân là nấm da (ringworm) hoặc ký sinh trùng như rận, ve, ghẻ tai, cần tạm thời cách ly mèo ra khỏi các vật nuôi khác trong nhà. Nấm da và ký sinh trùng có thể lây lan nhanh, không chỉ sang các thú cưng khác mà còn có nguy cơ lây sang con người.
Trong thời gian cách ly, bạn nên vệ sinh ổ nằm, đồ chơi và khu vực mèo thường lui tới bằng dung dịch diệt khuẩn an toàn cho thú cưng. Đồng thời, rửa tay kỹ sau khi tiếp xúc với mèo để tránh lây nhiễm.
3. Thay đổi chế độ dinh dưỡng
Chế độ ăn đóng vai trò quan trọng trong quá trình phục hồi lông mèo. Bạn nên bổ sung Omega-3, Omega-6, vitamin E, vitamin A và kẽm để nuôi dưỡng nang lông, giảm tình trạng rụng lông và tăng khả năng mọc lông mới.
Các nguồn dinh dưỡng này có thể có trong thức ăn cao cấp dành cho mèo, hoặc bổ sung bằng dầu cá, thực phẩm chức năng chuyên dụng. Một chế độ ăn cân đối, giàu protein và vitamin sẽ giúp lông mèo chắc khỏe, mượt mà hơn và hỗ trợ quá trình hồi phục sau khi bị hói.

4. Sử dụng thuốc theo chỉ định của bác sĩ thú y
Trong trường hợp hói lông do nấm, ký sinh trùng hoặc viêm da, việc sử dụng thuốc là cần thiết nhưng phải tuyệt đối tuân theo hướng dẫn của bác sĩ thú y. Có thể bao gồm:
- Thuốc bôi trị nấm da: Giúp loại bỏ nấm Microsporum canis hoặc các loại nấm khác, ngăn ngừa lan rộng.
- Thuốc xịt hoặc nhỏ gáy trị ký sinh trùng: Nhằm loại bỏ rận, ve tai, ghẻ và giảm ngứa cho mèo.
- Thuốc kháng viêm hoặc kháng histamine (nếu mèo dị ứng hoặc viêm da cơ địa).
Quan trọng là không tự ý dùng thuốc người hoặc các sản phẩm không được cấp phép cho thú cưng, vì có thể gây ngộ độc hoặc làm nặng thêm tình trạng rụng lông. Sau khi sử dụng thuốc, cần theo dõi phản ứng của mèo; nếu xuất hiện dấu hiệu bất thường như đỏ da nặng, ngứa dữ dội, bỏ ăn hoặc mệt mỏi, hãy đưa mèo đến cơ sở thú y ngay lập tức.
5. Theo dõi và chăm sóc lâu dài
Bên cạnh việc điều trị, bạn nên thường xuyên theo dõi tình trạng lông và da mèo. Chải lông đều đặn giúp loại bỏ lông rụng, cải thiện tuần hoàn da và phát hiện sớm các mảng hói mới.
Đồng thời, duy trì môi trường sống sạch sẽ, yên tĩnh, hạn chế stress cho mèo để ngăn ngừa hói lông do hành vi tự liếm hoặc căng thẳng tâm lý.

Khi nào cần đưa mèo đến bác sĩ thú y?
Khi nhận thấy mèo xuất hiện mảng hói lan rộng nhanh chóng, SEN cần đặc biệt lưu ý, vì đây có thể là dấu hiệu của nhiễm nấm da, ký sinh trùng hoặc viêm da nghiêm trọng. Ngoài ra, nếu mèo có các biểu hiện bỏ ăn, mệt mỏi, lờ đờ, hoặc gãi đến mức da trầy xước, chảy máu, tình trạng này không chỉ gây đau đớn mà còn làm tăng nguy cơ nhiễm trùng thứ cấp.
Một dấu hiệu cảnh báo khác là khi vùng da hói có mùi hôi bất thường, điều này thường cho thấy da bị viêm nhiễm hoặc có nhiễm khuẩn. Trong tất cả những trường hợp này, việc đưa mèo đến bác sĩ thú y ngay lập tức là cần thiết để được chẩn đoán chính xác và áp dụng phác đồ điều trị phù hợp, bảo vệ sức khỏe và giúp lông mèo phục hồi nhanh chóng.
Trên đây là những thông tin chi tiết giúp bạn nhận biết và xử lý tình trạng mèo bị hói lông. Dù là do sinh lý tự nhiên hay dấu hiệu bệnh lý, việc quan sát kỹ lưỡng và can thiệp kịp thời luôn là chìa khóa để bảo vệ sức khỏe cho người bạn nhỏ. Nếu tình trạng rụng lông đi kèm với các dấu hiệu bất thường như lở loét hay ngứa ngáy dữ dội, đừng ngần ngại đưa bé đến gặp bác sĩ thú y để được thăm khám chính xác nhất.